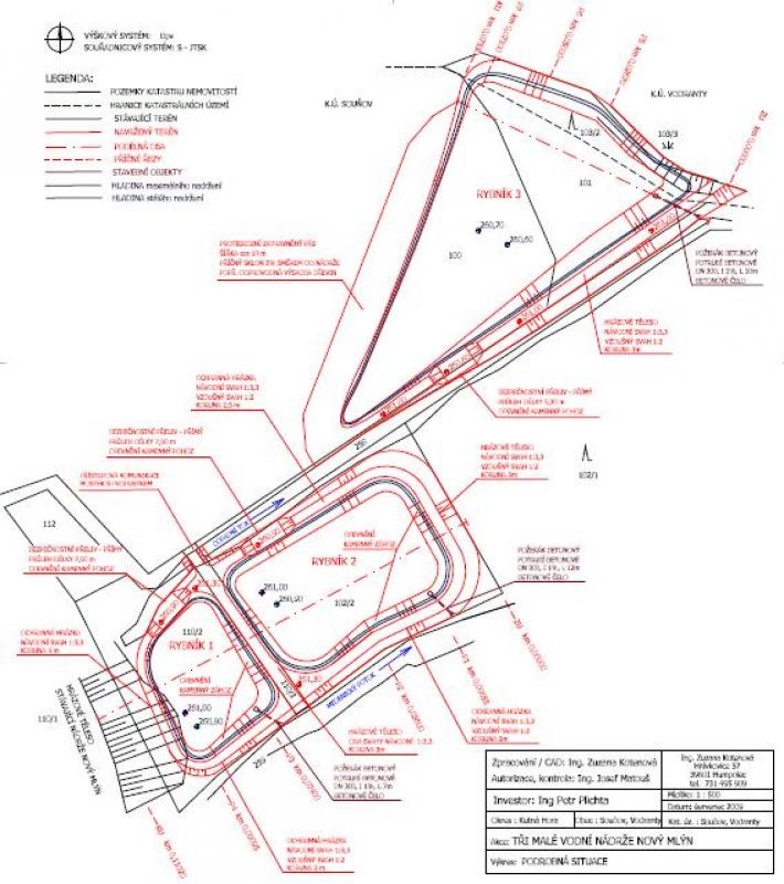
malé vodní nádrže

rybníky a rybníčky, mokřady a mokřádky, tůně a tůňky, poldry a poldříčky

více ...
revitalizace toků

koryta přírodě blízkých tvarů, náprava meliorací, odtrubnění toků, odstranění migračních překážek

více ...
stavby krajinného inženýrství

účelové komunikace, chodníky, cyklostezky, naučné stezky, propustky, mostky, hrazení bystřin
 

více ...

Souňov

novostavba soustavy tří rybochovných rybníků